项目名称:陇川居民杨恩存、姚玲坤自建住宅楼项目
项目用地性质:居住用地
申报类别:建设工程规划核实意见
申报单位:杨恩存、姚玲坤
规划审批经办单位:陇川县自然资源局
公示类别:批前公示
公示时间:2023年9月19日至2023年9月27日
公示网址:http://www.dhlc.gov.cn/gtj/Web/index.aspx
公示组织单位:陇川县自然资源
项目简介:
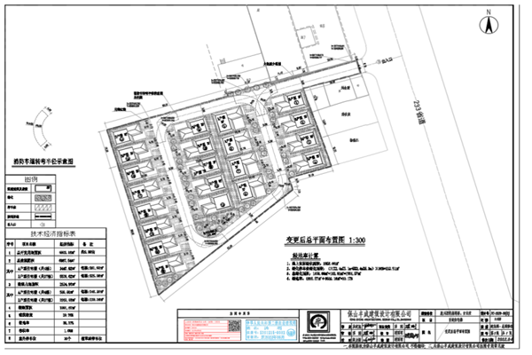
陇川居民杨恩存、姚玲坤自建住宅楼项目位于陇川县章凤镇章盈公路(S233线)西侧、锦顺天华酒店南侧、县农业局家属区北侧,该项目于2020年9月1日开工建设,于2022年1月3日项目完工,于2020年7月6日取得《建设用地规划许可证》(许可号:地字第陇川县201900036号),于2020年7月10日取得建设工程规划许可证(建字第陇川县2020000052号)规划总用地面积6602.16平方米,规划许可总建筑面积6987.54平方米。
备注:
对以上公示项目有异议者,请在公示期限内以书面形式将意见和建议反馈到陇川县自然资源局城乡规划中心(地址:陇川县章凤镇勐宛南路15号;邮编:678700;联系电话:0692-7172468。
附件:1、总平面规划设计图
2、竣工测绘图
3、竣工申请
4、竣工图片
陇川县自然资源局
2023年9月19日
附件1:总平面规划设计图

附件2:竣工测绘图
附件3:竣工申请
附件4:竣工图片





滇公网安备 53310002000504号 滇ICP备17006881号-1 联系电话:0692-7171476
政府网站标识码:5331240003 邮箱:478564041@qq.com 地址:陇川县章凤镇卫国北路38号 邮编:678700