申报单位:陇川县杜工房地产开发有限公司
规划审批经办单位:陇川县自然资源局
公示类别:批前公示
公示时间:2023年8月10日至2023年8月18日
公示网址:http://www.dhlc.gov.cn/gtj/Web/index.aspx
公示组织单位:陇川县自然资源
项目简介
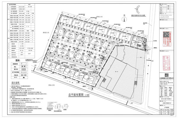
陇川县杜工房地产开发有限公司开发建设的迎宾小区项目位于陇川县章凤镇卫国南路以西、两馆建设项目西侧迎宾小区地块。该项目于2020年05月08日取得《建设用地规划许可证》(许可号:地字第陇川县201900005号),于2020年09月09日取得建设工程规划许可证(建字第陇川县202000086号),规划总用地面积24143.4平方米(36.22亩),规划许可总建筑面积29558.55平方米,共16栋。
备注:
对以上公示项目有异议者,请在公示期限内以书面形式将意见和建议反馈到陇川县自然资源局城乡规划中心(地址:陇川县章凤镇勐宛南路15号;邮编:678700;联系电话:0692-7172468。
附件:1、总平面规划设计图
2、竣工测绘图
3、竣工图片
陇川县自然资源局
2023年8月10日
附件1:总平面规划设计图

附件2:竣工测绘图


附件3:竣工图片






滇公网安备 53310002000504号 滇ICP备17006881号-1 联系电话:0692-7171476
政府网站标识码:5331240003 邮箱:478564041@qq.com 地址:陇川县章凤镇卫国北路38号 邮编:678700