项目名称: 珑湾花园住宅小区项目
项目用地性质: 居住用地
申报类别:建设工程规划核实意见
申报单位:陇川裕盛置业有限公司
规划审批经办单位:陇川县自然资源局
公示类别:批前公示
公示时间:2022年8月25日至2022年9月2日
公示地点:项目现场
陇川县自然资源局官网网址:
http://www.dhlc.gov.cn/gtj/Web/index.aspx
公示组织单位:陇川县自然资源局
项 目 简 介
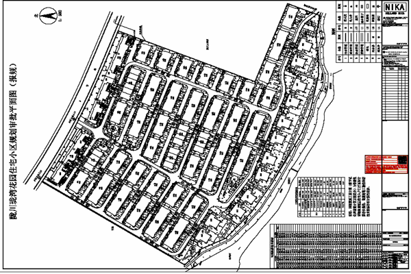
珑湾花园建设项目位于陇川县章凤镇卫国南路西侧,无名路南侧(勐宛山水住宅小区南侧)。该项目于2020年3月10日取得《建设用地规划许可证》(许可号:地字第陇川县202000008号),于2020年5月11日取得《建设工程规划许可证》(陇川县202000036号),规划总用地面积65221.33平方米(97.8320亩),规划许可总建筑面积66065.11平方米,共49栋,3至9层。
备注:
对以上公示项目有异议者,请在公示期限内以书面形式将意见和建议反馈到陇川县自然资源局城乡规划中心(地址:陇川县章凤镇勐宛南路15号;邮编:678700;联系电话:0692-7172468。)
附件:1.总平面规划设计图
2. 竣工测绘图
3. 竣工图片
陇川县自然资源局
2022年8月25日
附件1:

附件2:

附件3:



滇公网安备 53310002000504号 滇ICP备17006881号-1 联系电话:0692-7171476
政府网站标识码:5331240003 邮箱:478564041@qq.com 地址:陇川县章凤镇卫国北路38号 邮编:678700